Basics
- Date added: Added 10 months ago
- Category: Lots and Land
- Type: Residential
- Status: Active
- Half baths: 0
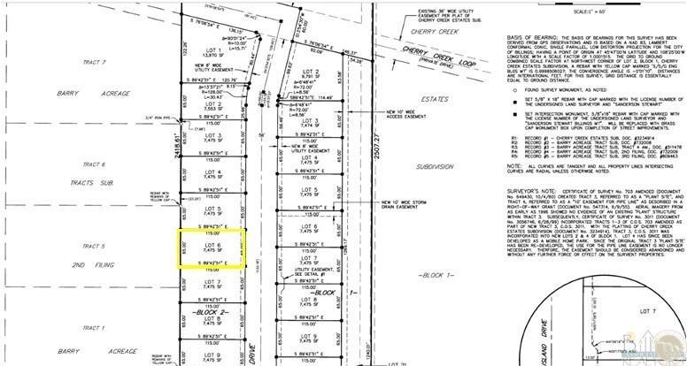
- Lot size: 7475 sq ft
- Zone: Other
- County Or Parish: Yellowstone
- Number of Lots: 1
- DOM: 5
- MLS ID: 353693
Description
-
Description:
CHERRY ISLAND SUB (24), S24, T01 N, R26 E, BLOCK 2, Lot 6 Newly developed lot in the Billings Heights off Yellowstone River Road, sold together with city services available. Bring your designs and your builder to create the home you’ve been planning. Quick and easy access to Downtown, the West End, schools, and shopping.
Show all description
Location
- Lot Description: Interior,Slope
Building Details
- Water: Buyer To Verify,In Street
Amenities & Features
- Sewer: Buyer To Verify,Public
- Gas: Buyer To Verify,In Proximity
- Electric: In Proximity,In Street
Miscellaneous
- Restrictions: See Deed
- Street Surface: Asphalt
- Possession: At Closing
- Road Frontage: 0
- Showing Instructions: Drive By
- Subdivision: Cherry Island
- Parcel Number: A38050
- List Office Name: Engel & Voelkers
Nearby Schools
- Junior High School: Medicine Crow
- High School: Skyview
- Elementary School: Beartooth
Fees and Taxes
- Tot Taxes: $650
Ask an Agent About This Home
This Residential style property is located in Billings is currently Lots and Land and has been listed on . This property is listed at $52,000. It has bedrooms, bathrooms, and is . The property was built in year.